INFORMACIÓN ACERCA DE LAS COOKIES UTILIZADAS

Le informamos que en el transcurso de su navegación por los sitios web del grupo Ibercaja, se utilizan cookies propias y de terceros (ficheros de datos anónimos), las cuales se almacenan en el dispositivo del usuario, de manera no intrusiva. Estos datos se utilizan exclusivamente para habilitar y estudiar de forma anónima algunas interacciones de la navegación en un sitio Web, y acumulan datos que pueden ser actualizados y recuperados. En el caso de que usted siga navegando por nuestro sitio Web implica que acepta el uso de las cookies indicadas. Puede obtener más información, o bien conocer cómo cambiar la configuración, en nuestra sección Política de cookies

Realiza tu búsqueda en todo el fondo:

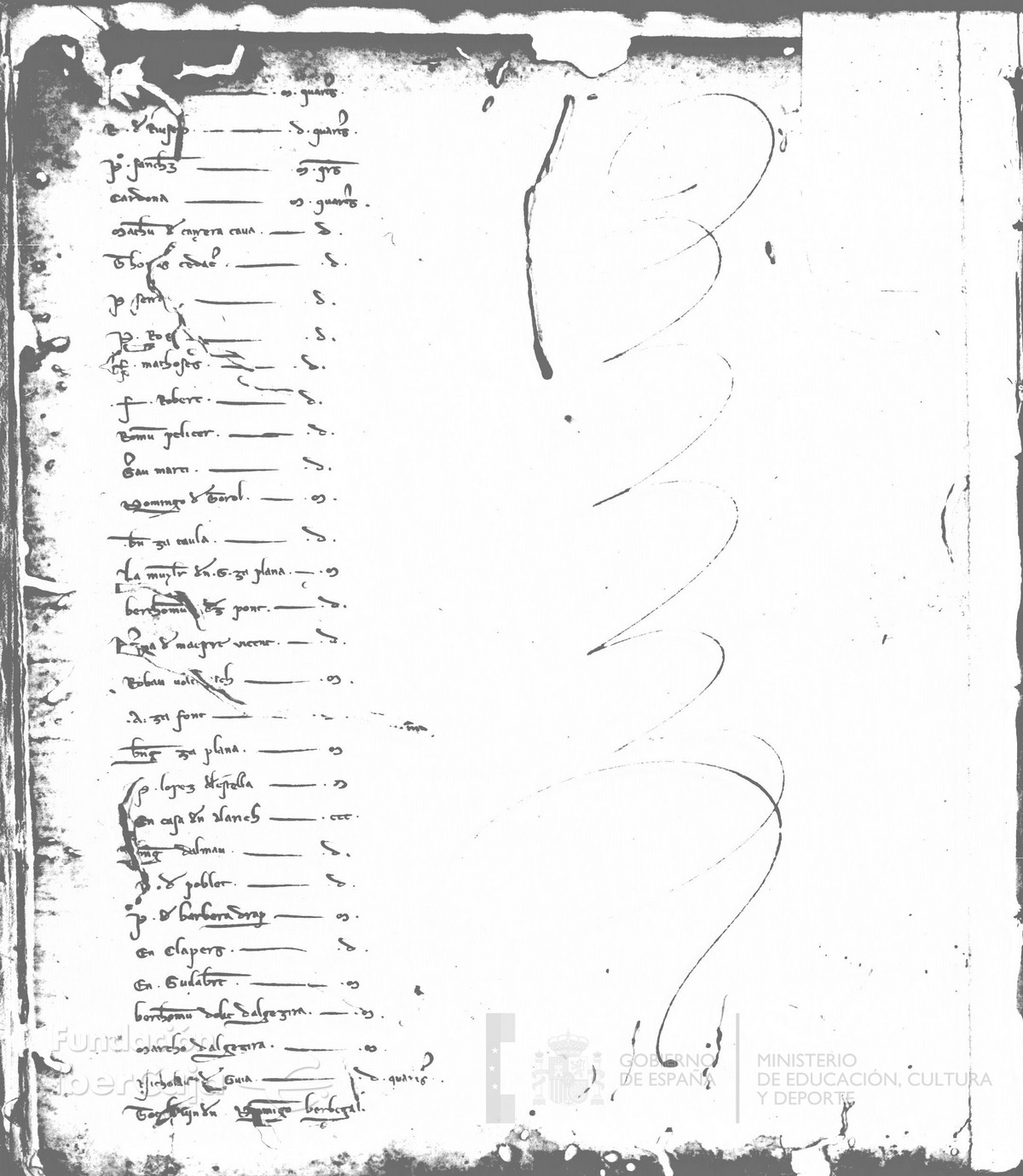
Cancillería, registros, nº8, fol.18v-23v/ Registro de cenas. (1255)

Peitas de las cenas de las bailías catalanas. En la bailía de Lérida (folio 18v) se cita San Esteban de Litera.

Fecha1255

ArchivoArchivo de la Corona de Aragón

SecciónCancillería

Materias

Onomásticos

Geográficos

Signatura ACA,Cancillería,registros,nº8,fol.18v-23v